长安车友会

 找回密码
 欢迎注册

QQ登录

只需一步,快速开始

楼主: 拼!生活

终极进化!八年星星油耗真的百元180公里!不是梦!

  [复制链接]
发表于 2013-4-1 08:22:00 来自手机 | 显示全部楼层
回复 支持 反对

使用道具 举报

发表于 2013-4-1 08:49:24 | 显示全部楼层
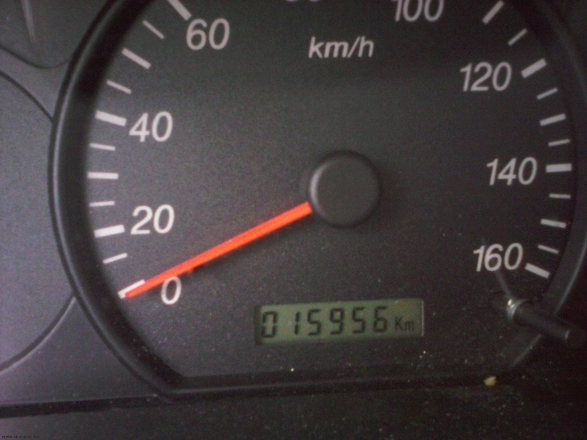
好像一直差不多这样啊,好像还要低一点,上周三晚上里程表在15501公里时加了200元油,昨天用完了再加油时为15956公里,跑了455公里,200除以455约等于0.44元一公里,不过是新车哦,上图!

昨天中午加油时公里数

昨天中午加油时公里数

上周三晚上加油时公里数

上周三晚上加油时公里数
回复 支持 反对

使用道具 举报

发表于 2013-4-1 08:54:29 | 显示全部楼层
楼主跑市区看看油耗,有没有到一块钱
回复 支持 反对

使用道具 举报

发表于 2013-4-1 08:57:07 | 显示全部楼层
化油器 是个好东西
回复 支持 反对

使用道具 举报

发表于 2013-4-1 09:22:21 | 显示全部楼层
其实,465和466和474.油耗都差不多一样。只要车没毛病。
驾驶习惯不要太激烈。
回复 支持 反对

使用道具 举报

发表于 2013-4-1 11:28:45 | 显示全部楼层
你的465q5是哪年的我的是10年的
回复 支持 反对

使用道具 举报

 楼主| 发表于 2013-4-1 11:41:32 | 显示全部楼层
竹影清风 发表于 2013-4-1 08:54
楼主跑市区看看油耗,有没有到一块钱

混合路况,一半下乡路不过城里一人乡下5人
回复 支持 反对

使用道具 举报

发表于 2013-4-1 14:14:04 | 显示全部楼层
bu cuo  gongxi
回复 支持 反对

使用道具 举报

发表于 2013-4-1 16:55:36 来自手机 | 显示全部楼层
瘋狂的石頭 发表于 2013-4-1 07:45
偶99年472改465化油器0.75元一公里

我的也是改的465化油器,5毛左右!

评分

参与人数 1银币 -10 收起 理由
潇湘仙子 -10 【哈巴狗是畜生杂碎】【人若不除天必除之】.

查看全部评分

回复 支持 反对

使用道具 举报

发表于 2013-4-1 16:56:28 | 显示全部楼层
老星长途油耗5角左右没问题,就是短途耗油。
回复 支持 反对

使用道具 举报

您需要登录后才可以回帖 登录 | 欢迎注册

本版积分规则

小黑屋|手机版|Archiver|长安车友会 ( 渝ICP备06005564号-1 ) |渝公网安备50010702501124号

GMT+8, 2025-12-23 03:16

Powered by Discuz! X3.4

Copyright © 2001-2023, Tencent Cloud.

快速回复 返回顶部 返回列表